Nieuwsbrief IVN Gemert-Bakel November 2025
Samenstelling van het Bestuur
De samenstelling van het bestuur bestaat op dit moment uit:
• Voorzitter: Tonnie v.d. Hulsbeek
- Secretaris: Toni v.d. Elsen
- Penningmeester: Mieke Bankers
- Overige bestuursleden: Susan van Rijn
- Leo van Gerwen wil meekijken om op een later moment te kunnen beslissen
Vacature: Word ook een van onze nieuwe bestuursleden!
Wil jij naast je lidmaatschap meer betekenen voor onze organisatie? Wil je bijdragen aan de inhoud en activiteiten van IVN Gemert-Bakel? Word dan lid van het bestuur of een van onze werkgroepen.
Zomaar een inventarisatie op de golfbaan
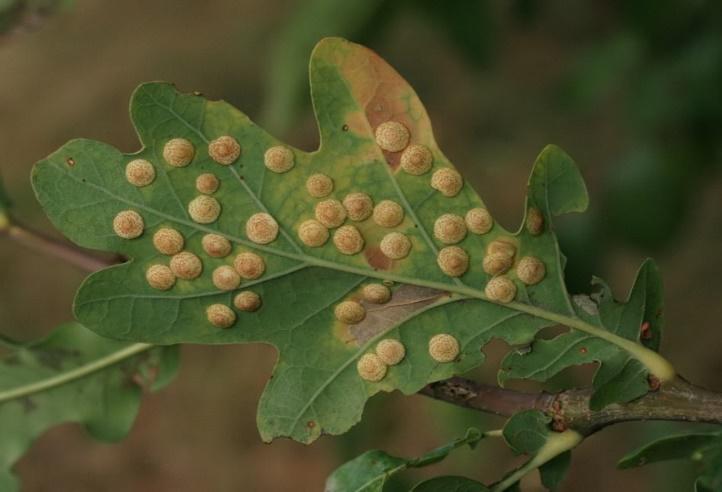
Gevonden op de golfbaan. Een zeldzame wants
De Lindespitskop
Deze wants komt vooral voor op lindebomen. De wants hoort tot de familie van de bodemwantsen. De dieren komen de winter door als volwassen dier en soms als nimf. We zagen deze wants op een lindeboom links van afslag hole 1.
Een nimf van de Lindespitskop
Na de winter gaan ze paren en leggen eitjes. Daar komen de jonkies uit. Het zijn de nimfen. De nimfen verkassen na verloop van tijd naar de bladeren en ze eten en groeien daarvan. Daarna halen ze voedsel uit de zaden van de Linde en zo worden ze volwassen. De wantsen worden zo’n 5 mm groot.
Ze zitten in winter en voorjaar in grote groepen van soms wel honderden bij elkaar op de stam van lindebomen. Ze kruipen in spleten en verdiepingen in de boomschors. De vleugels zijn langer dan bij andere wantsen, de naam hiervoor is macropteer (= langvleugelig).
Deze wants kan ook voorkomen op kaasjeskruid. De linde en kaasjeskruid behoren tot dezelfde familie, de kaasjeskruidfamilie (Malvaceae). Wij hebben deze wants nog niet op kaasjeskruid gezien.
De eerste waarneming in Nederland was in Noord-Brabant in 2008. De wants is nog zeldzaam, maar komt nu vaker voor door veel aanplant van Lindebomen in combinatie met zachte winters. De soort komt oorspronkelijk voor rond het Middellandse Zee gebied.
Over grote getalen gesproken. De foto links is gemaakt op Esp ook op een lindeboom. Op meerdere plekken op de boom zitten deze wantsen in groepen bij elkaar.
De foto rechts is nog een grote groep lindespitskop in het vroege voorjaar.
Wij schrijven deze stukjes vanuit de plantengroep en de monitoring op de golfbaan, heb je zin om eens mee te lopen met onze plantengroep dan ben je van harte welkom.
Met het bekijken van planten vind je ook allerlei diertjes, zoals deze lindespitskop. Veel leesplezier en hartelijke groet van Anton Sijbers en Lenie van Hal.
Herfstproject Basisscholen
Voor dit project in oktober gingen de schoolgroepen dit jaar naar het Bospark in Bakel, het bos aan de peeldijk in Milheeze van de Fam. Kuunders en naar het bos nabij het bosmuseum in De Rips.
Het thema was “het bos”.
Elke schoolgids ging met een groepje een uur lang door het bos struinen. Met een rugzakje met verschillende zoekkaarten bekeken we de mosjes, bladgallen, bladranden en nerven. Er was ook aandacht voor het hoe en waarom verkleuren de bladeren.
Niet op alle locaties was het zelfde te vinden. Dat maakte het voor de gidsen uitdagender, maar overal was genoeg te vinden om van te leren. Gelukkig was het op tijd weer gaan regenen, waardoor het mos weer tot leven was gekomen en de paddenstoelen de grond uit rezen.
Kinderen vonden zelf ook leuke dingetjes, zoals deze muizenstaartzwammetjes op een dennenappel.
Totaal hebben weer ruim 200 kinderen deelgenomen.
Heb je zin om een keer met de schoolgidsen mee te lopen? Voel je vrij en kom een keertje meedoen. Het is ontzettend leuk.
De Groenlingen
Op 26 oktober zijn we met het groepje kinderen van de Groenlingen en hun ouders naar het beestenveld in De Rips geweest. We zijn op pad gegaan met de opdracht “lummelen”.
Nou op de plek waar we zouden gaan lummelen was al snel duidelijk dat we zeker niet gingen lummelen maar paddenstoelen zoeken. Jan had al eerder een berichtje gestuurd naar de ouders om een gratis app Obsidentify op hun telefoon te installeren en daar werd veelvuldig gebruik van gemaakt. Ook met een formuliertje waar opdrachten op stonden werd van paddenstoel naar paddenstoel gelopen en ingevuld. De kinderen mochten met het mobieltje van vader ook foto’s maken en de app laten uitzoeken welke paddenstoelen ze gevonden hadden. Het was een hele beleving.
Er werden vele op naam gebracht zoals: krulzoom, rodekoolzwam, kastanje boleet, gewone zwavelkopjes, rode zwavelkopjes, dennenvoetzwam, porseleinzwam, valse cantharel, doolhofzwam en op de terugweg paarse trilzwam, echt elfenbankje, het muizenstaartje op sparrenappel en een grote zwavelzwam op een boom. Ook werd veelvuldig gebruik gemaakt van loepjes waar het woord ooh bij gebruikt werd.
Het was een grote belevenis voor zowel ouders als kind.
Wie dit ook eens wil meemaken, sluit je aan bij de groenlingen of kom eens een keertje kijken.
Presentaties Verenigingen
Op 23 oktober heeft in “de Specht” te Handel de jaarlijkse bijeenkomst van de Natuurverenigingen van Gemert-Bakel plaatsgevonden. Elke vereniging heeft zich mogen presenteren welke activiteiten deze allemaal hebben. Voorafgaande aan deze presentaties heeft Jan Timmers een lezing verzorgt over: “elementen van ons cultuurhistorisch landschap”. Na afloop was nog een gezellig samenzijn om met elkaar bij te praten en ervaringen uit te wisselen.
Natuurwerkdag
Dankzij de inzet van vrijwilligers van Stichting Ons Landschap Gemert-Bakel is het landschap langs de Heuvelsepad – De Kuier in Gemert weer een stukje mooier. Samen met 4 leden van IVN Gemert-Bakel hebben we twee historische paden hersteld, 34 nieuwe bomen en een halve kilometer gemengde hagen aangeplant.
We hadden ideaal plantweer en afgesloten met een over heerlijke lunch bij VELT-Gemert.
Activiteiten
|
November |
December |
|||||||
| Ma | 10 | Film KBO |
14.00 |
Ma | 8 | Film KBO |
14.00 |
|
| Wo | 19 | Plantengroep |
19.00 |
Wo | 17 | Plantengroep |
19.00 |
|
| Do | 20 | Lezing Roofvogels JW Hermans |
19.30 |
Zo | 28 | Groenlingen |
10.00 |
|
| Zo | 23 | Groenlingen |
10.00 |
Di | 30 | Vogelwerkgroep |
19.30 |
|
| Di | 25 | Vogelwerkgroep met foto’s van de heer Brunas |
19.30 |
|||||
|
Januari |
Februari |
|||||||
| Zo | 4 | Nieuwjaarsbijeenkomst in het IVN gebouw |
15.00 |
Ma | 9 | Film KBO |
14.00 |
|
| Zo | 11 | Wintervogelwandeling. Parkeren Golfbaan |
10.00 |
Wo | 11 | Plantengroep |
19.00 |
|
| Ma | 12 | Film KBO |
19.30 |
Do | 12 | Lezing |
19.30 |
|
| Wo | 14 | Plantengroep |
19.00 |
Zo | 22 | Groenlingen |
10.00 |
|
| Do | 22 | Lezing |
19.30 |
Di | 24 | Vogelwerkgroep |
19.30 |
|
| Zo | 25 | Groenlingen |
10.00 |
|||||
| Di | 27 | Vogelwerkgroep |
19.30 |
|||||
|
Maart |
||||||||
| Do | 5 | Algemene Ledenvergadering |
19.30 |
|||||
| Zo | 8 | Excursie Peelrandbreuken
B. v. Sleeuwen |
10.00 |
|||||
| Wo | 11 | Plantengroep |
14.00 |
|||||
| Za | 14 | NL Doet |
10.00 |
|||||
| Do | 19 | Lezing |
19.30 |
|||||
| Zo | 22 | Vlindergroep |
10.00 |
|||||
| Zo | 22 | Groenlingen |
10.00 |
|||||
| Di | 31 | Vogelwerkgroep |
19.30 |
NL Doet
Ook dit jaar doen we weer mee met NL-Doet. Het is een twee daags evenement, maar wij doen alleen mee op zaterdag. Dus houd de krant en website in de gaten.
Oproep Co-creatiesessie 10 december
Co-creatiesessie toekomstbestendige landbouw; kansen en mogelijkheden voor de voedseleducatie.
Omdat deze bijeenkomst in regio De Peel wordt georganiseerd, informeer ik jullie ook graag. Mochten er leden zijn die geïnteresseerd zijn dan zijn die van harte welkom.
Op woensdag 10 december 2025 van 10.00 tot 12.00 uur organiseren Jong leren Eten Limburg en IVN Natuureducatie, in samenwerking met agro-ecologische onderneming AARDS, een co-creatiesessie over kansen en mogelijkheden voor voedseleducatie in de toekomstbestendige landbouw.
- Wanneer? Woensdag 10 december 2025, 10.00 – 12.00 uur
- Waar? AARDS (Klaarstraatzijweg 12, Ospel)
- Voor wie? Boeren, telers, voedselbosinitiatiefnemers, beleidsmakers landbouw (Provincie Limburg, LLTB, Gemeenten), JOGG-regisseurs, Gezonde School Adviseurs en groene organisaties.
- Meer informatie en aanmelden: https://www.ivn.nl/provincies/limburg/co-creatiesessie-toekomstbestendige-landbouw/
Symposium Biodiversiteit en Leefgebieden 2025
Beste natuurliefhebber,
Save the date!
Symposium Biodiversiteit en Leefgebieden
Woensdag 3 december 2025 in ’s-Hertogenbosch
De provincie Noord-Brabant organiseert dit jaar voor de 12e keer het symposium Biodiversiteit en Leefgebieden.
Het symposium is bedoeld voor alle professionals en vrijwilligers die zich met hart en ziel inzetten voor de natuur in Brabant. Of u nu werkt bij een terreinbeheerder, gemeente, waterschap, natuurorganisatie, agrarische natuurvereniging of adviesbureau – dit evenement biedt een waardevolle gelegenheid om kennis te delen en samen te werken aan het behoud van onze prachtige Brabantse natuur.
Tijdens het symposium presenteren we de resultaten die in Brabant zijn behaald op het gebied van biodiversiteit en leefgebieden. Ook staan we stil bij de kansen en uitdagingen die nog voor ons liggen. Het gevarieerde programma biedt een inspirerende mix van lezingen, interactieve workshops en flitspresentaties.
Datum: Woensdag 3 december 2025
Locatie: Provinciehuis, ’s-Hertogenbosch
Aanmelden: is verplicht en kan vanaf dinsdag 11 november 9:00 uur via de aanmeldingsmodule op de website van RAVON: Symposium Biodiversiteit en Leefgebieden.
Meer informatie: Symposium Biodiversiteit en Leefgebieden 2025
De aanmeldingsmodule opent op dinsdag 11 november 2025 om 9.00 uur. Zet dit moment alvast in uw agenda. Het aantal plaatsen is beperkt, dus meldt u tijdig aan.
Met vriendelijke groeten,
Organisatie Symposium Biodiversiteit en Leefgebieden 2025
Dit symposium wordt namens de provincie Noord-Brabant georganiseerd door Zoogdiervereniging, RAVON en FLORON





